Lowndes Area Knowledge Exchange (LAKE)
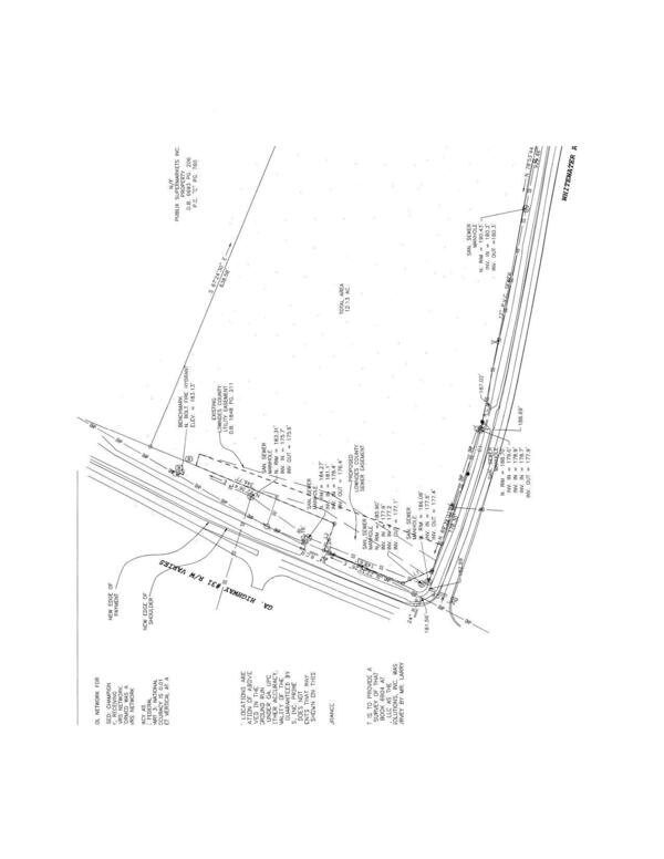
Drawing of Reconfigured Easement Area
JayBoys Easement Exchange Tax Parcel 0134 051 Whitewater Road & Madison Hwy
Packet: 4 Board Appointments, 1 Alcohol, 1 Easement Exchange, 2 Solid Waste Franchises @ LCC
23 March 2026
bigger
PDF
Photographs
by
Lowndes Area Knowledge Exchange (LAKE)
,
licensed by a
Creative Commons Attribution-Share Alike 3.0 U.S. License
.
Lowndes Area Knowledge Exchange (LAKE)