Lowndes Area Knowledge Exchange (LAKE)
Map: Conceptual Layout
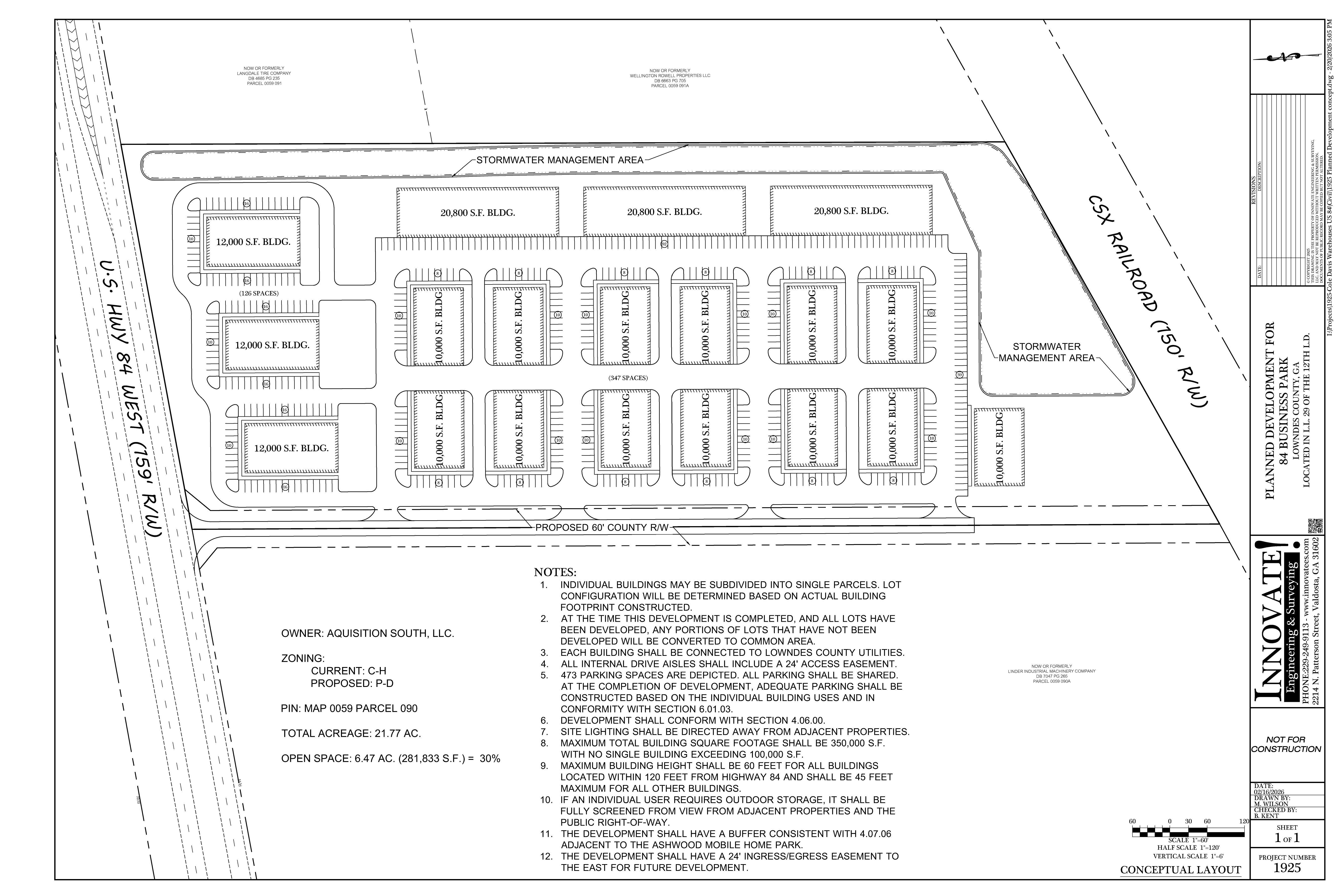
REZ-2026-05 Cole Davis 84 W, ~22ac US HWY 84W, C-H to P-D, County Utilities Work
Packet: One-Valdosta Lowndes Report, 3 Rezonings, 1 Subdivision, Paving, Alcohol, Housing Loan, LMIG @ LCC
9 March 2026
smaller
PDF
Photographs
by
Lowndes Area Knowledge Exchange (LAKE)
,
licensed by a
Creative Commons Attribution-Share Alike 3.0 U.S. License
.
Lowndes Area Knowledge Exchange (LAKE)